Разработчики камер показали, как водители прячут номера. Примеры и фото
Помятый госномер, установка таблички не по правилам и под уклоном — водители пробуют разные способы, чтобы обмануть камеры и избежать штрафов. Однако все это бессмысленно, объяснили разработчики

Дорожные камеры становятся все умнее и учатся распознавать новые нарушения ПДД. Чтобы избежать штрафов, водители придумывают новые хитрости и пытаются обманывать устройства. Большинство приемов незаконно, но водителей это не пугает. Разработчики современных комплексов и представители Центра организации дорожного движения Москвы (ЦОДД) разобрали популярные способы обмана и показали, как на них реагируют сами камеры.
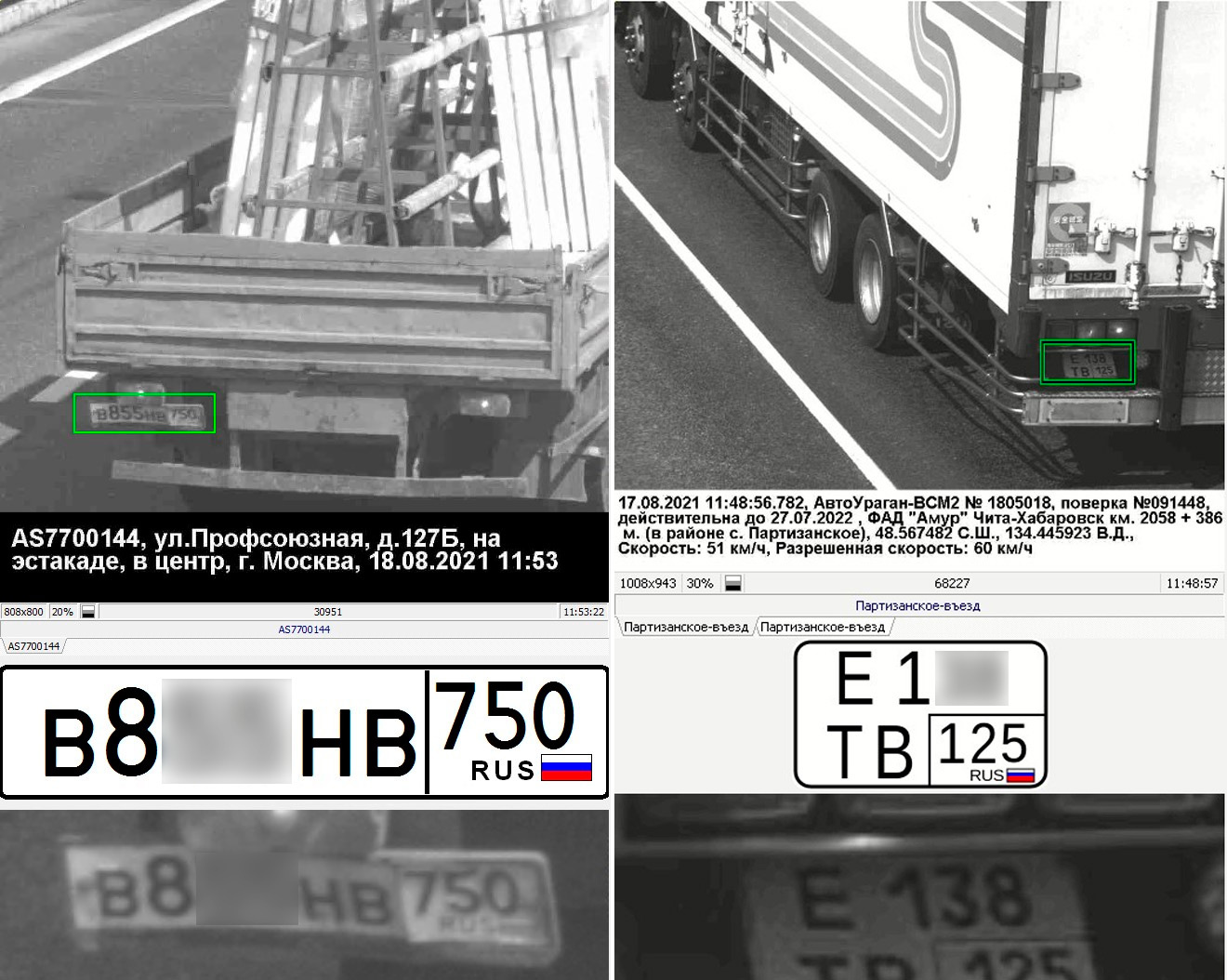
Госномера необычных форм
Все современные камеры умеют распознавать госномера любых форм и даже размещенные нестандартным способом, объяснили в ЦОДД.
«В Москве все камеры распознают любые номера: квадратные, установленные с наклоном и так далее. Поэтому пытаться как-то обхитрить камеры бессмысленно», — предупредили в ЦОДД, предоставив несколько примеров, включая квадратные и «болтающиеся» номера.

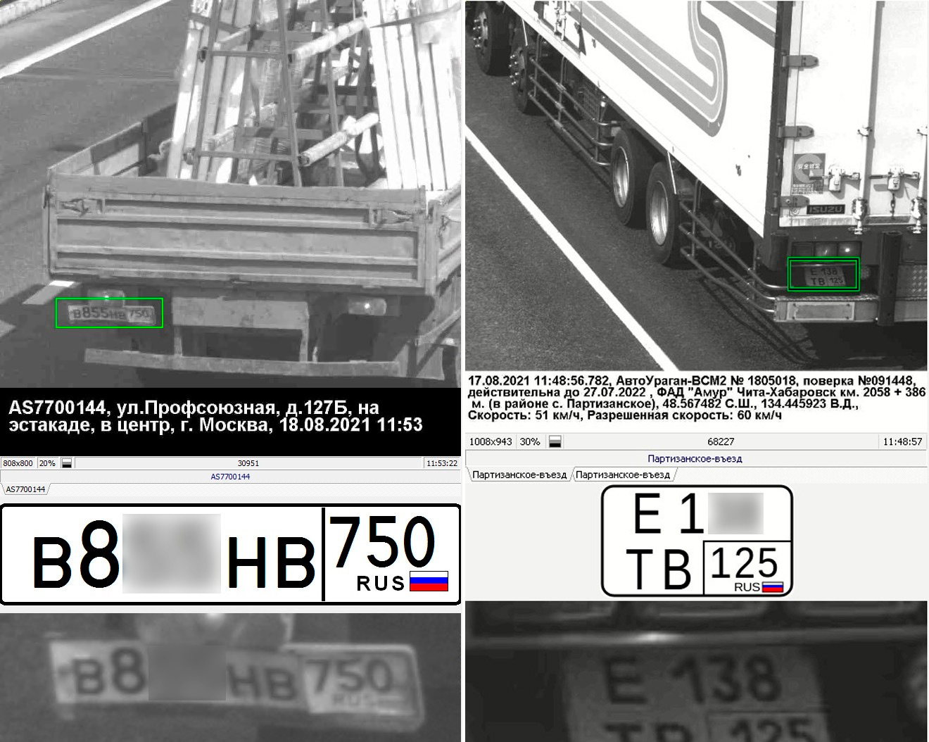
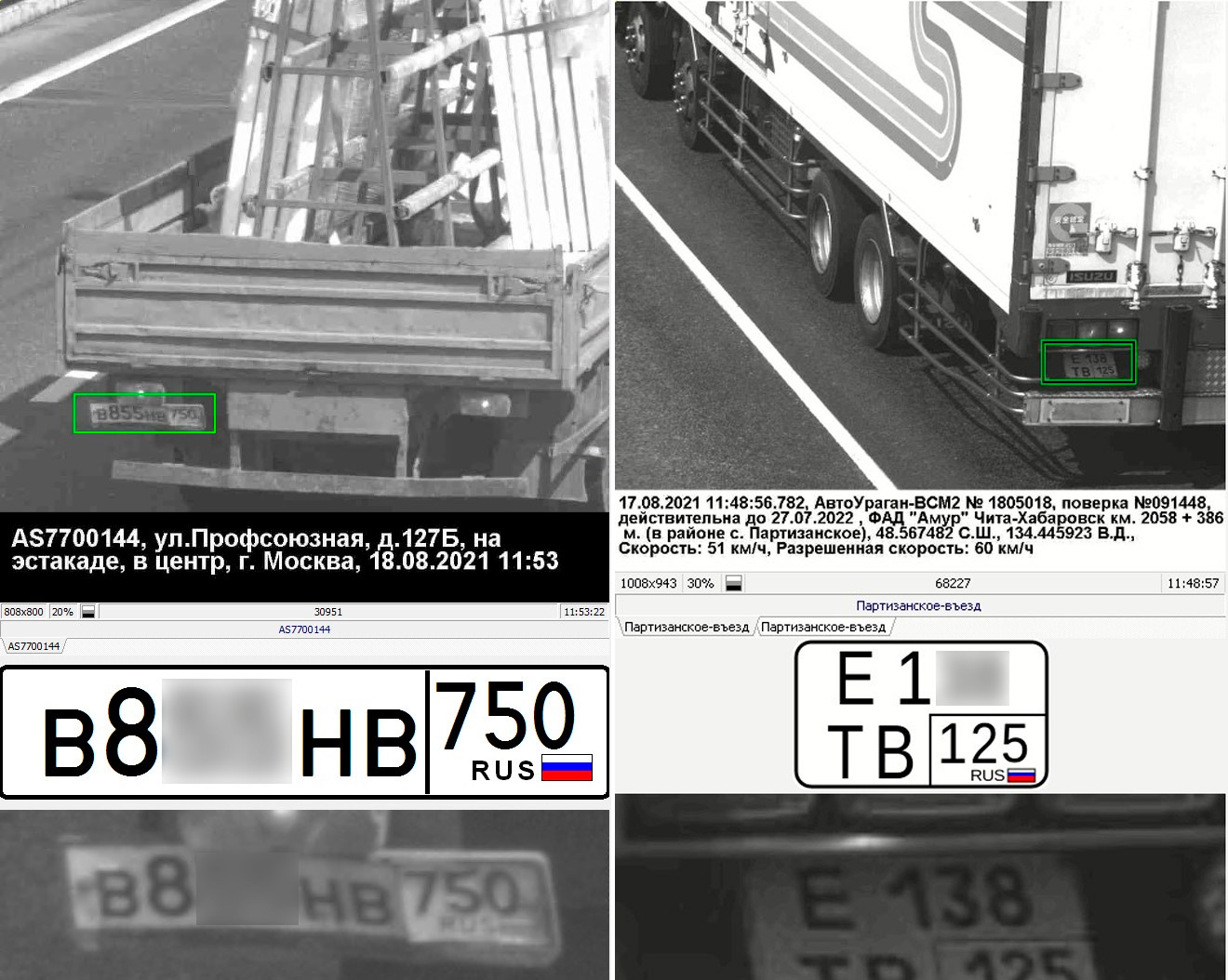
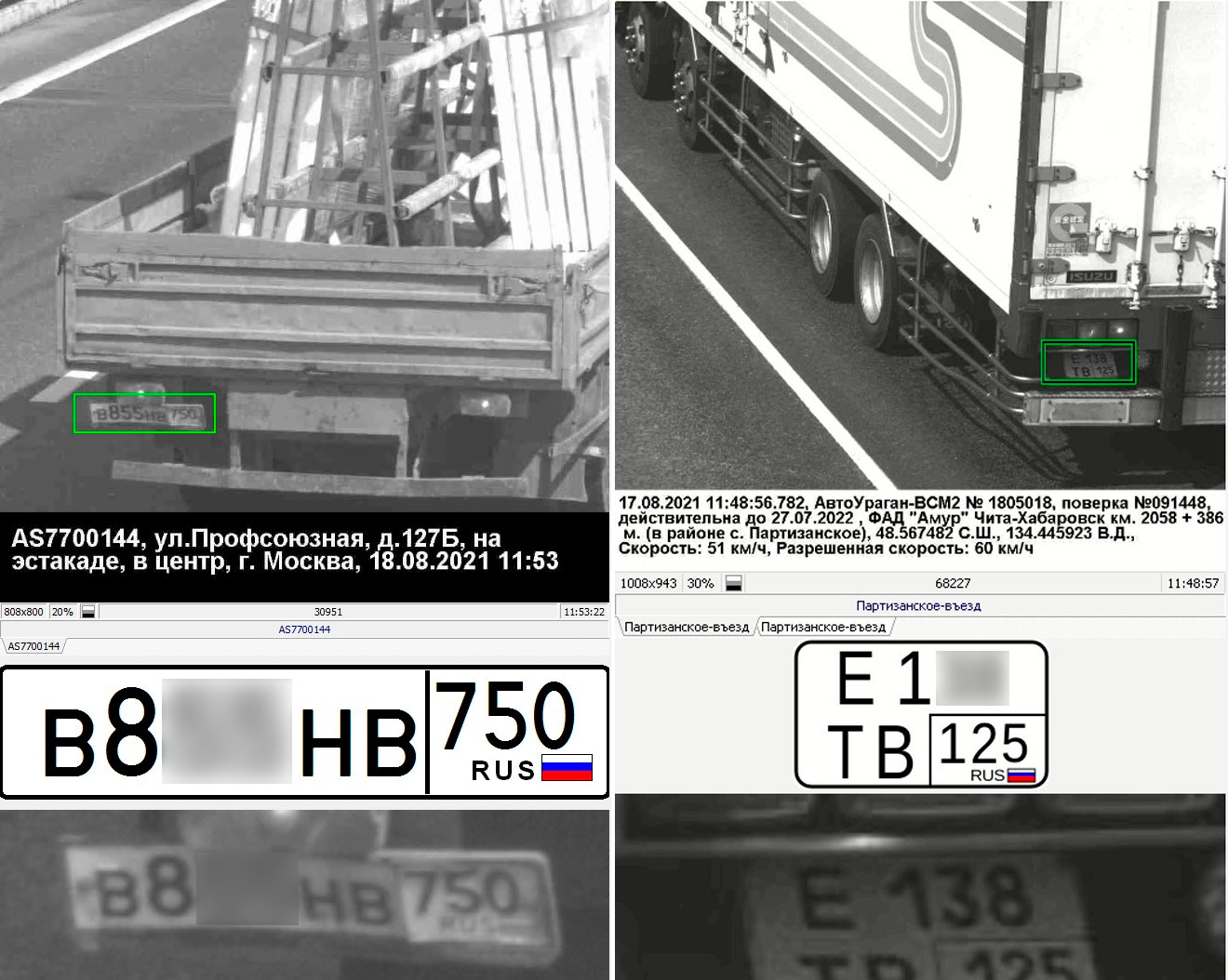
Деформация номерной пластины
Водители иногда специально не меняют помятые номерные знаки. Такая деформация, которая приводит к частичному искажению символов, может произойти после ДТП. Также такие повреждения часто можно увидеть на грузовом транспорте — при откидывании заднего борта он бьет пластину. Хитрые водители решают оставить такие таблички, чтобы запутать камеры и избежать возможных штрафов.
«Любое искажение потенциально может приводить к ошибкам, особенно такие проблемы были актуальны примерно с 2010 по 2016 гг., когда еще никаких нейросетей не использовали», — рассказал Autonews.ru представитель компании «Технологии распознавания» Сергей Кусов. — Однако к текущему времени нейросети уже пропустили через себя огромное количество комбинаций и возможных видоизменений госномеров».

В итоге, по словам эксперта, проблема с ошибками постепенно сошла на нет: нейросети научились понимать и достраивать комбинации, а также получать информацию с нескольких кадров, которые были сделаны при фиксации.
«Такое искажение номера, как на примере, камеры все-таки безошибочно распознали, хотя это и наиболее проблемный пример. Цифры и буквы тут «поплыли», у них изменилось геометрическое построение, — объяснил Кусов. — Но важно понимать: если нейросеть все-таки не сможет распознать номер, всегда есть второй. Ведь контроль сейчас ведется в нескольких направлениях, а диапазон работы камер расширился с одного-двух рядов до нескольких полос сразу».
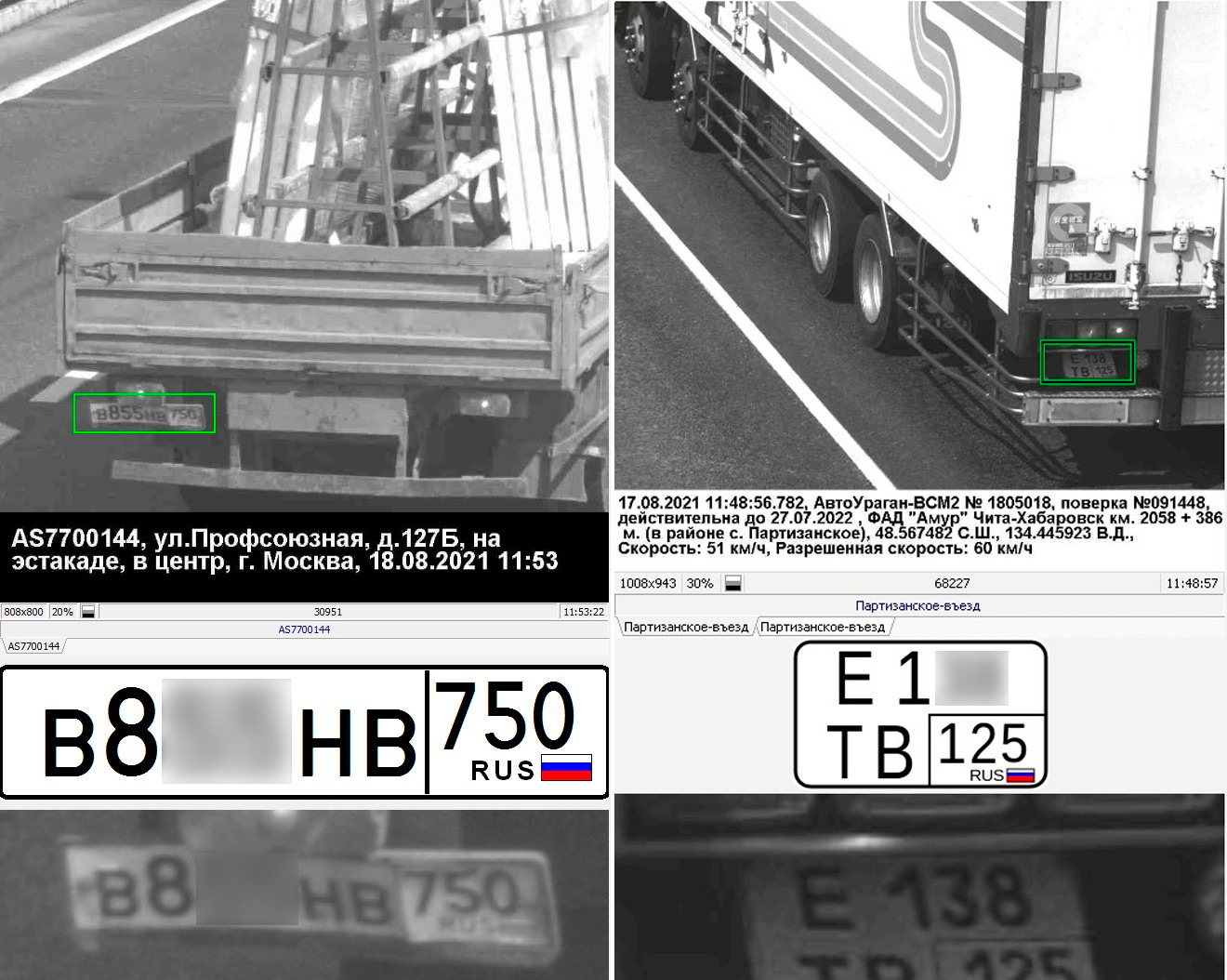
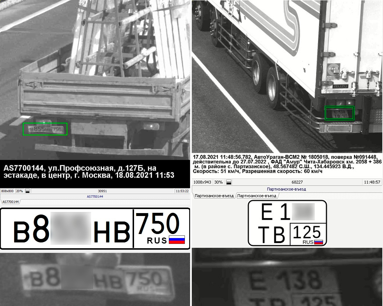
Госномер на нестандартном месте
Некоторые водители считают, что камеру можно сбить с толку, перевесив госномер со стандартного место вбок или же приделав его с наклоном вправо или влево. Однако, по словам Кусова, необычное местоположение номерной пластины камеру не смутит.

