Ученые обнаружили загадочные ряды отверстий на дне Атлантического океана

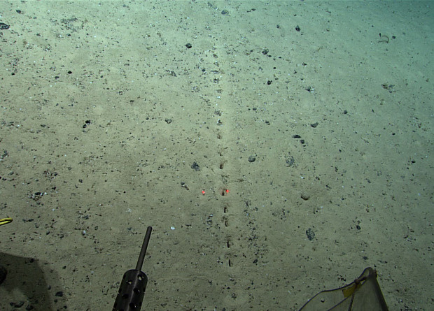
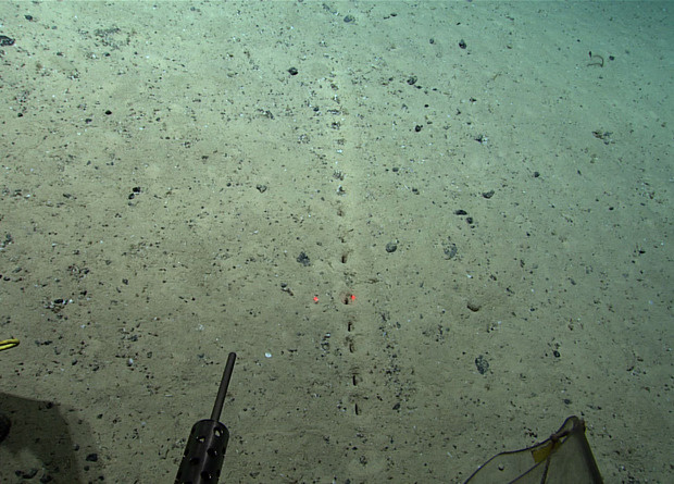
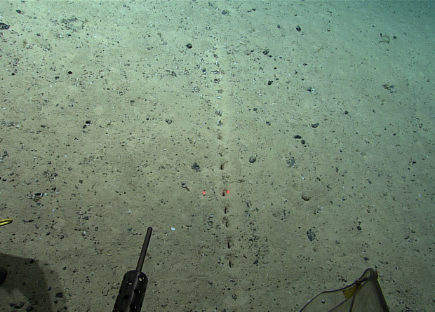
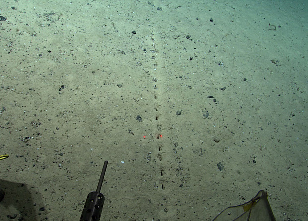
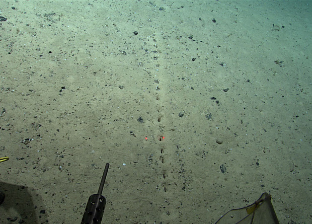
Ученые обнаружили на дне Атлантического океана длинные прямые ряды отверстий. Как сообщается в пресс-релизе Национального управления океанических и атмосферных исследований США, они расположены на глубине около 2,5 километра. Происхождение отверстий остается загадкой: возможно, их выкопали неизвестные морские обитатели или же это результат неких геологических процессов. Не исключено, что они имеют рукотворное происхождение — например, другая команда исследователей могла оставить их при сборе кернов.
Исследования океанского дна нередко приводят к удивительным открытиям. Например, в прошлом году ихтиологи обнаружили в море Уэдделла у берегов Антарктиды скопление гнезд китовых белокровок (Neopagetopsis ionah) размером с небольшой город. Это крупнейшее в мире нерестилище рыб. А в центральной части Северного Ледовитого океана были найдены богатые жизнью губковые сады, которые растут на остатках исчезнувшего более двух тысяч лет назад гидротермального сообщества.
Еще одну необычную находку сделала команда исследователей из Национального управления океанических и атмосферных исследований США (National Oceanic and Atmospheric Administration, NOAA). В мае этого года NOAA вместе с партнерами начала серию из трех экспедиций Voyage to the Ridge 2022 к трем малоизученным участкам
